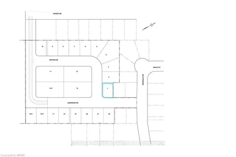
LOT 1 BRYANS Drive
CA$169,900
For Sale
Dormitorios
n/a
Baños
n/a
Superficie en pies cuadrados
n/a
Tipo de propiedad
Top Cities
Top Neighborhoods

n/a
n/a
n/a
Vacant Land
Here's your opportunity to build in the quiet town of Brussels. Fully serviced lot located in a new development close to the arena and not far from public pool, ball diamond and the downtown area. Services available at the lot line Gas, Hydro, Fibre internet, Municipal water and sewers.
This vacant land home located at LOT 1 BRYANS Drive, Huron East, ON N0G 1H0 is currently for For Sale and has been available on Wedu.ca for days. This property is listed at CA$170K. It has N/A beds, N/A bathrooms, and is N/A square feet. The property is N/A years old. LOT 1 BRYANS Drive, Huron East, ON N0G 1H0 is in Huron East neighborhood Brussels.