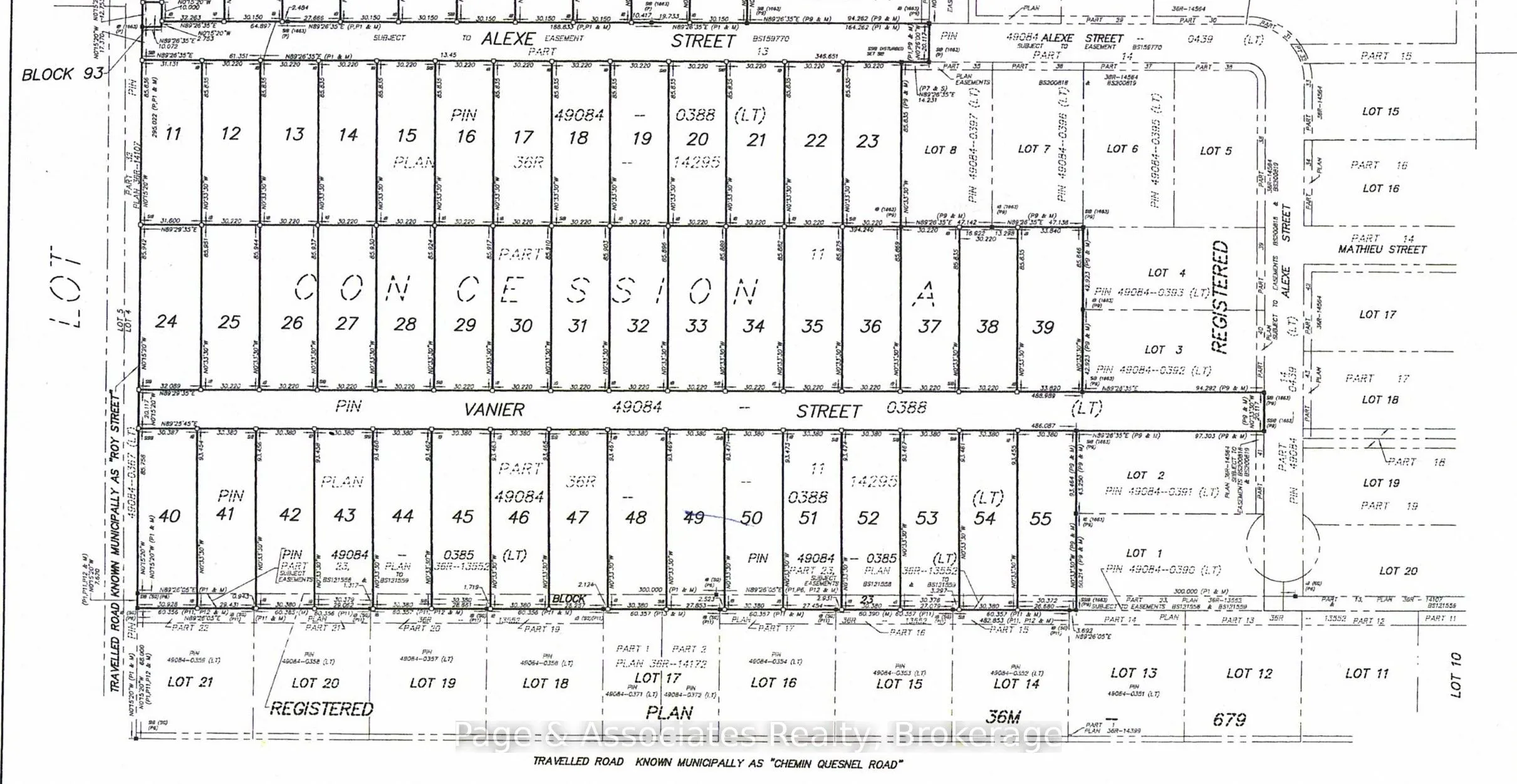
5 Vanier Street, ON P2B 0C8 - MLS# X12489738 - FOR SALE on Wedu.ca